遊漁船
明起
みつき
のご予約
(受付時間 9:00~19:00)
080-3877-9996
MENU
乗船料金
SHIP CHARGE
乗り場情報
ACCESS
釣り方&タックル
INFORMATION
予約状況
CALENDAR
釣果日記
BLOG
メンバー紹介
MEMBER
飲食パック
MEAL PACK
お知らせ
NEWS
遊漁船
明起
みつき
のご予約はこちらから!
080-3877-9996
(受付時間 9:00~19:00)
釣果日記
NEWS / BLOG
2025.12.18
釣果日記
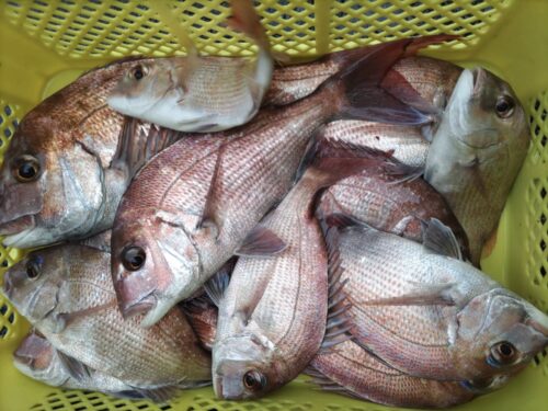
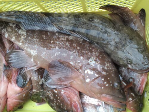
12月18日 テンヤ調査2名
活かして とっとんめ行き
弱ったのは〆てお持ち帰り!
« 前の記事
一覧に戻る
次の記事 »
最新の記事
2026.01.18
1月18日 サビキ&ラバ
2025.12.18
12月18日 テンヤ調査2名
2025.12.17
12月17日 泳がせヒラメ&テンヤ 調査
カテゴリー
お知らせ
釣果日記
アーカイブ
アーカイブ
月を選択
2026年1月
2025年12月
2025年11月
2025年10月
2025年9月
2025年8月
2025年7月
2025年6月
2025年5月
2025年4月
2025年1月
2024年12月
2024年10月
2024年8月
2024年7月
2024年6月
2024年5月
2024年4月
2024年3月
2024年1月
2023年12月
2023年11月
2023年10月
2023年9月
2023年8月
2023年7月
2023年6月
2023年5月
2023年4月
2023年3月
2023年2月
2023年1月
2022年12月
2022年11月
2022年10月
2022年9月
2022年8月
2022年7月
2022年6月
2022年5月
2022年4月
2022年3月